
Est. mensual: $124 Recalcular
Acerca de esta propiedad
Otra propiedad residencialNúmero de MLS: #200207
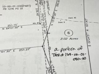
Lote perfecto para su casa construida o prefabricada. Aproximadamente a medio camino entre la ciudad de Manning y Lake Marion. La mitad de los árboles, se han despejado. Requerirá la aplicación y aprobación de un tanque séptico. Cerca de la dirección 2552 Joseph Lemon Dingle Rd. Tome la autopista 260 a través del cruce de Jordan. Gire a la derecha en Joseph Lemon Dingle Rd. Busque Sissel Rd., que estará a su izquierda frente a una iglesia. El lote estará a tu izquierda. Llame al agente para conocer la ubicación exacta. Agua del condado disponible con grifo de pago.Características de la propiedad
Área del lote: | 2.02 Acres |
---|
Copyright © 2025 Sumter Board of Realtors. All rights reserved. All information provided by the listing agent/broker is deemed reliable but is not guaranteed and should be independently verified. Information being provided is for consumers' personal, non-commercial use and may not be used for any purpose other than to identify prospective properties consumers may be interested in purchasing.
Los comentarios sobre la propiedad se emplea traducción computarizados. La traducción es automática y es solo una aproximación al contenido original proveído del sitio web. La traducción no se debe de considerar exacta ni basarse en ella. No asumimos responsabilidad por la exactitud de la traducción.
Escuela primaria
MANNING EARLY CHILDHOOD CENTER
7.0
MillasVer detalle
MANNING PRIMARY SCHOOL
7.0
MillasVer detalle
MANNING ELEMENTARY SCHOOL
6.9
MillasVer detalle
Escuela secundaria (ciclo básico)
MANNING JUNIOR HIGH SCHOOL
6.9
MillasVer detalle
Escuela secundaria (ciclo superior)
MANNING HIGH SCHOOL
7.0
MillasVer detalle